
Route 1 Priority Corridor Study
Norwood, Massachusetts
Project Manager
Seth Asante
Project Principals
Rebecca Morgan and Mark Abbott
Data Analysts
Kathy Jacob
Julie Dombroski
Graphics
Kenneth Dumas
Cover Design
Kim DeLauri
The preparation of this document was supported
by Federal Highway Administration through
MPO Combined PL and 5303 #114674 and
MPO Combined PL and 5303 #118967.
Central Transportation Planning Staff is
directed by the Boston Region Metropolitan
Planning Organization (MPO). The MPO is composed of
state and regional agencies and authorities, and
local governments.

For general inquiries, contact
Central Transportation Planning Staff 857.702.3700
State Transportation Building ctps@ctps.org
Ten Park Plaza, Suite 2150 ctps.org
Boston, Massachusetts 02116
The Boston Region Metropolitan Planning Organization (MPO) operates its programs, services, and activities in compliance with federal nondiscrimination laws including Title VI of the Civil Rights Act of 1964 (Title VI), the Civil Rights Restoration Act of 1987, and related statutes and regulations. Title VI prohibits discrimination in federally assisted programs and requires that no person in the United States of America shall, on the grounds of race, color, or national origin (including limited English proficiency), be excluded from participation in, denied the benefits of, or be otherwise subjected to discrimination under any program or activity that receives federal assistance. Related federal nondiscrimination laws administered by the Federal Highway Administration, Federal Transit Administration, or both, prohibit discrimination on the basis of age, sex, and disability. The Boston Region MPO considers these protected populations in its Title VI Programs, consistent with federal interpretation and administration. In addition, the Boston Region MPO provides meaningful access to its programs, services, and activities to individuals with limited English proficiency, in compliance with U.S. Department of Transportation policy and guidance on federal Executive Order 13166. The Boston Region MPO also complies with the Massachusetts Public Accommodation Law, M.G.L. c 272 sections 92a, 98, 98a, which prohibits making any distinction, discrimination, or restriction in admission to, or treatment in a place of public accommodation based on race, color, religious creed, national origin, sex, sexual orientation, disability, or ancestry. Likewise, the Boston Region MPO complies with the Governor's Executive Order 526, section 4, which requires that all programs, activities, and services provided, performed, licensed, chartered, funded, regulated, or contracted for by the state shall be conducted without unlawful discrimination based on race, color, age, gender, ethnicity, sexual orientation, gender identity or expression, religion, creed, ancestry, national origin, disability, veteran's status (including Vietnam-era veterans), or background. A complaint form and additional information can be obtained by contacting the MPO or at http://www.bostonmpo.org/mpo_non_discrimination. To request this information in a different language or in an accessible format, please contact Title VI Specialist By Telephone: For more information, including numbers for Spanish speakers, visit https://www.mass.gov/massrelay.
|
Abstract
The Route 1 Priority Corridor Study focuses on one of the locations identified in the Needs Assessment for Destination 2040, the Boston Region Metropolitan Planning Organization’s (MPO) Long-Range Transportation Plan (LRTP) endorsed in 2019. The LRTP guides investment decisions regarding transportation infrastructure improvements in the Boston region. The MPO prioritized Route 1 in Norwood for study after considering several factors: the need to address poor safety conditions and traffic congestion; the desire to enhance multimodal transportation; the need to maintain regional travel capacity; and the potential for recommendations from the study to be implemented. This report details the existing conditions, assesses safety and operational problems, discusses options for improvements, and makes recommendations for implementing improvements. The recommendations, if implemented, would transform the roadway into a more pedestrian- and bicyclist-friendly roadway to support microtransit pilots and key first- and last-mile connections between the Route 1 corridor and commuter rail stations and bus stops. In addition, the recommendations would improve safety at high-crash locations, make traffic flow and operations efficient, support local businesses, and promote multimodal transportation.
ES.3 Existing Conditions and Needs Assessment
Chapter 2— Study Location and Selection Process
2.2 Study Goals and Objectives
Chapter 3—Roadway Characteristics
3.2.5 Nahatan Street and Neponset Street
3.3.1 Route 1 and Union Street Intersection
3.3.2 Route 1 and Sumner Intersection
3.3.3 Route 1 at Morse Street and Park Place Intersection
3.3.4 Route 1 at Dean Street Intersection
3.3.5 Route 1 at Neponset Street/Nahatan Street (Pendergast Circle)
3.3.6 Route 1 at Access Road and Neponset Street Intersections
3.3.7 Route 1 at Pleasant Street Intersection
3.3.8 Route 1 at Everett Street/University Avenue Intersection
4.2 Intersection Layouts And Signal-Timing Data
5.2.1 Walking and Biking Levels of Service
5.2.2 Challenges for People Walking and Biking
5.3.4 Challenging Environment for People Taking Public Transportation
5.4.1 Intersection Levels of Service
Chapter 6—Community Engagement
8.3 Corridor Wide Improvements
8.4 Walking and Biking Infrastructure Improvements
8.4.1 Walking Infrastructure Improvements
8.4.2 Norwood Complete Streets Program
8.4.3 Biking Infrastructure Improvements
8.4.4 Future Walking and Biking LOS
8.6 Safety Impacts of Proposed Improvements
8.7 Summary of Proposed Improvements
Chapter 9—Conclusion and Next Steps
Table 1 Route 1 Projects in Norwood
Table 2 Intersection Level of Service Criteria
Table 3 Summary of Intersection Crash Statistics: 2015–19
Table 4 Summary of Segment Crash Statistics: 2015–19
Table 5 Summary of Crashes Statistics: 2015–19
Table 6 Safety Effectiveness of Proposed Improvements
Figure 1 Study Area: Route 1 in Norwood
Figure 2 Major Crossing Streets and Intersections
Figure 3 Microtransit Recommendation Areas
Figure 4 Mobility in the Route 1 Corridor
Figure 7 Average Weekday Traffic Volumes (March 2022)
Figure 8 Peak-Hour Turning-Movement Volumes
Figure 9 Measured and Posted Speed Regulation
Figure 10 Existing Conditions: Weekday AM Peak-Hour LOS and Delays
Figure 11 Existing Conditions: Weekday PM Peak-Hour LOS and Delays
Figure 12 Existing Conditions: Weekend Saturday PM Peak-Hour LOS and Delays
Figure 13 Location and Distribution of Crashes 2015–19
Figure 15 Safety Experience by Mode of Transportation
Figure 16 Level of Difficulty Navigating the Corridor: Driving Versus Walking or Biking
Figure 17 Challenges Walking or Biking on Route 1
Figure 18 Challenges Driving on Route 1
Figure 19 Major Ways to Improve Route 1
Figure 20 Route 1 at Pendergast Circle: Problems
Figure 21 Route 1 at Dean Street: Problems
Figure 22 Route 1 at Morse Street/Park Place: Problems
Figure 23 Route 1 at Sumner Street: Problems
Figure 24 Route 1 at Union Street: Problems
Figure 25 Walking and Biking Infrastructure Improvements
Figure 26 Separated Bike Lane Designs
Figure 27 Roadway Accommodation Improvement Alternatives
Figure 28 Examples of Bike Accommodations
Figure 29 Route 1 at Pendergast Circle: Alternative 1—Keep the Rotary
Figure 30 Route 1 at Pendergast Circle: Alternative 2—Diamond Interchange Concept
Figure 31 Route 1 at Pendergast Circle: Alternative 3—Convert to a Roundabout
Figure 32 Route 1 at Dean Street: Improvements
Figure 33 Route 1 at Morse Street/Park Place: Improvements
Figure 34 Route 1 at Sumner Street: Improvements
Figure 35 Route 1 at Union Street: Improvements
Figure 36 2040 Conditions: Weekday AM Peak-Hour LOS and Delays
Figure 37 2040 Conditions: Weekday PM Peak-Hour LOS and Delays
Figure 38 2040 Conditions: Weekday Saturday PM Peak-Hour LOS and Delays.
Figure 39 Summary of Improvements
Appendix A: Advisory Task Force, Comments, and Selection Process
Appendix B: Pedestrian and Bicycle Levels of Service
Appendix C: Traffic and Signal Timing Data
Appendix D: Intersection Level of Service Analysis
Appendix E: Traffic Safety Data
Appendix F: Community Survey Results
Appendix G: MassDOT Highway Division Project Development Process
The Boston Region Metropolitan Planning Organization (MPO) selected Route 1 in Norwood as the subject of a corridor study in federal fiscal year 2022. The study focused on one of the locations identified in the Needs Assessment for the MPO’s Long-Range Transportation Plan, Destination 2040. The location was prioritized for study after considering several factors, including the need to address poor safety conditions and traffic congestion; desire to enhance multimodal transportation; need to maintain regional travel capacity; and potential to implement the study recommendations. This report analyzes the existing conditions, assesses safety and operational problems, and recommends improvements.
Stakeholder participation was a crucial part of the study. Hence, MPO staff used several methods to engage stakeholders in planning for improvements to Route 1 in Norwood. An advisory task force composed of representatives from the Massachusetts Department of Transportation (MassDOT), Town of Norwood, Metropolitan Area Planning Council (MAPC), Neponset River Regional Chamber (NRRC), and Neponset Valley Transportation Management Association (TMA) was established to guide this study. MPO staff met with the task force to kick-off the study. In a second meeting, MPO staff presented the existing problems, corridor needs, and ideas for improvements for feedback. This report reflects the task force’s feedback. Appendix A includes a list of task force members and comments.
In addition, MPO staff developed a survey to help determine the public’s opinion about concerns and problems on Route 1 in Norwood and to learn their ideas for resolving them. The online survey, posted on the websites of the Town of Norwood, NRRC, Neponset Valley TMA, and Three Rivers Interlocal Council (TRIC), received 684 responses between July and August 2022. The survey questionnaire is included in the appendix.
Route 1 in Norwood is a two-way, four-lane urban principal arterial under the jurisdiction of MassDOT. The study was focused on improving safety, operations, and multimodal accommodations at key intersections along the corridor and resulted in generalized concepts for enhanced multimodal transportation throughout the corridor. MassDOT Highway Division and MPO staff collected and assembled the data used to assess the existing conditions and identify problems and corridor needs.
Key concerns include poor accommodations for people who walk or bike because of a lack of walking and biking infrastructure, limited crossing opportunities for east-west access, pedestrian crossing safety issues, significant gaps in the sidewalk network, infrastructure that is noncompliant with the Americans with Disabilities Act (ADA), and high volumes and speeds of vehicles that create high stress levels for people when walking or biking.
A key concern for people driving in the corridor is the high number of crashes: five intersections along the corridor are on the list of Highway Safety Improvement Program (HSIP) crash clusters. 1 For many of the crashes, the contributory factors include lack of advance intersection lane control signs, pavement markings, yellow retroreflective borders on signal head backplates, and inadequate street lighting leading to high number of nighttime crashes. Additional contributory factors are a lack of advance notifications and human factors such as failure to yield, inattention or distraction, following too closely, ignoring traffic control regulations, and other aggressive driving behaviors.
Key concerns for people riding the bus are a lack of bus transit service on Route 1, a lack of connections from Route 1 to the commuter rail stations on the MBTA Franklin Line and bus stops on the MBTA Route 34E, and a lack of infrastructure to support walking and biking on Route 1 and first- and last-mile transportation options to complete trips.
MPO staff, working with the advisory task force and input from the community, developed short- and long-term improvements for the corridor.
The short-term improvements are generally low cost, relatively uncomplicated and inexpensive to implement, require minimal design efforts, and typically take less than five years to implement. These improvements can be included in some of MassDOT’s projects and in corridor or maintenance activities. The recommendations include repairing sidewalks and curb ramps to meet MassDOT standards and comply with the ADA; adding countdown timers to help expedite pedestrian crossings; painting high-visibility crosswalks; repainting pavement markings; and installing advance notification signage. Additional short-term improvements include several signal upgrades: retiming signals to reduce congestion; modifying change and clearance intervals to meet MassDOT standards; and adding retroreflective backplates with yellow borders to the signal heads to make them more visible to motorists.
The long-term improvements are generally high cost and require more design and engineering efforts. The recommendations for long-term improvements would focus on modernizing the roadway to make it safer and multimodal. They include intersection reconstruction, closing substantial gaps in the sidewalk network, adding separated bike lanes, and upgrading signal equipment. These long-term improvements, along with Norwood’s proposed Complete Streets Program, would increase transportation choices in the Route 1 corridor, including microtransit pilots, and provide the key first- and last-mile connections to commuter rail stations and bus stops.
The concepts developed in this study provide MassDOT, the Town of Norwood, NRRC, Neponset Valley TMA, and other stakeholders an opportunity to review the recommendations for addressing deficiencies in the corridor before committing design and engineering funds to a roadway improvement project. This document provides a guide for possible improvements on this roadway and the necessary information for the project proponents to initiate the project notification and review process. The stakeholders would need to coordinate with MassDOT to prioritize the recommendations and advance them into projects. However, MassDOT and the Town of Norwood are not obligated to make these improvements.
If implemented, the proposed improvements offered in this report would increase traffic safety, make traffic operations more efficient, and modernize the roadway to accommodate all users. The study aligns with the Boston Region MPO’s goals of increasing safety on the region’s highway system; modernizing roadways to improve capacity and mobility by expanding the quantity and quality of walking and bicycling infrastructure; making transit service more efficient; reducing congestion; and preserving the transportation system.
1 An HSIP crash cluster is a location in which the number and severity of crashes—as measured on the Equivalent Property Damage Only (EPDO) index—ranks the location among the top five percent of crash clusters in the region. The EPDO method assigns weighted values to each crash based on whether the crash resulted in property damage (unweighted), injury (weighted by five), or a fatality (weighted by 10).
The Boston Region Metropolitan Planning Organization (MPO) has been conducting studies of roadway corridors identified through the Needs Assessment of the Long-Range Transportation Plan (LRTP) as needing infrastructure improvements to address safety, mobility, and traffic operations problems. 2 Municipalities in the region and the Massachusetts Department of Transportation (MassDOT) have been receptive to these studies, which provide the opportunity to review conceptual options to improve a specific arterial segment before committing design and engineering funds to a project. If a proponent initiates a project that qualifies for state and federal funds, the study’s documentation may be useful to both MassDOT and the project proponent for completing MassDOT Highway Division’s project initiation forms, identifying problems along the corridor, justifying the need for improvements, and providing improvement concepts to advance into the preliminary design and engineering stages.
MPO staff identified several arterial roadway segments listed in the LRTP that should be prioritized because the roadways require maintenance, modernization, and safety and mobility improvements. To address the problems that exist in some of these arterial segments, a LRTP priority corridor study was included in the federal fiscal year (FFY) 2022 Unified Planning Work Program (UPWP). 3 Upon the recommendation of MPO staff, the MPO board selected Route 1 in the Town of Norwood as the subject of the priority corridor study. MPO staff selects locations for study (considering agency, municipal, subregional, and other public feedback) and then collects data, conducts technical analyses, and recommends improvements. Recommendations from the study are sent to implementing agencies, which may choose to fund improvements through various federal, state, and local sources, separately or in combination.
2 Boston Region Metropolitan Planning Organization, Destination 2040: The New Long-Range Transportation Plan of the Boston Region Metropolitan Planning Organization, endorsed by the Boston Region MPO on August 29, 2019.
3 Boston Region Metropolitan Planning Organization, Unified Planning Work Program, FFY 2022, endorsed by the Boston Region Metropolitan Planning Organization on August 19, 2021. The FFY 2022 UPWP was approved by the MPO’s federal partners and took effect on October 1, 2021. The FFY 2022 UPWP was amended on November 18, 2021.
Chapter 2— Study Location and Selection Process
On January 20, 2022, the Boston Region MPO identified Route 1 in the Town of Norwood for study, following a selection process that involved a review of safety conditions, congestion, multimodal and regional significance of the roadway, regional equity, and the potential for implementing study recommendations. 4 Figure 1 shows the study corridor and the surrounding area. The study location was selected from a list of 43 arterial segments in 33 municipalities in the Boston Region MPO area. 5 A copy of the technical memorandum describing the selection process is included in Appendix A. MassDOT Highway Division District 5, the MassDOT Office of Transportation Planning, the Town of Norwood, Metropolitan Area Planning Council (MAPC), Neponset River Regional Chamber (NRRC), and the Neponset Valley Transportation Management Association (TMA), supported the study by collecting data needed for the analyses, reviewing documentation of existing conditions, identifying problems, and developing improvements to mitigate the problems.
Figure 1
Study Area: Route 1 in Norwood

4 Safety Conditions: The location has a higher-than-average crash rate for its functional class; contains a crash cluster that makes it eligible for HSIP funding; contains a crash location on MassDOT Highway Division’s Top High Crash Locations Report; or has a significant number of pedestrian and bicycle crashes (two or more per mile).
Congested Conditions: The travel time index is at least 1.3. The travel time index is the ratio of the peak-period travel time to the free-flow travel time.
Multimodal Significance: The roadway carries one or more bus routes or is adjacent to a transit stop or station; the roadway supports bicycle or pedestrian activities or there is a project planned that will support these activities; there is a need to accommodate pedestrians and bicyclists and improve transit on the roadway; or there is a significant amount of truck traffic on the roadway serving regional commerce.
Regional Significance: The roadway is on the National Highway System; carries a significant portion of regional traffic (average daily traffic of 20,000 vehicles or more); lies within 0.5 miles of environmental-justice transportation analysis areas or zones; or is essential for the region’s economic, cultural, or recreational development.
Regional Equity: To ensure that, over time, all subregions in the MPO’s planning area receive support from the MPO in the form of UPWP planning studies, during each funding cycle, MPO staff select no more than one location per subregion to study and choose a location in a different subregion from the location studied in the preceding cycle.
Implementation Potential: The study location is proposed by the jurisdictional agency or agencies for the roadway; proposed or prioritized by a subregional group; or identified as a priority for improvement by other stakeholders.
5 Boston Region Metropolitan Planning Organization, Selection of FFY 2020 LRTP Priority Corridor Study Location, Technical Memorandum, January 20, 2022.
The stakeholders have shown a commitment to improving conditions to transform this automobile-centric corridor into a route that functions for everyone by
Toward that end, the objectives of this study were to
Stakeholder participation is a crucial part of any MPO-sponsored study. Hence, MPO staff used several methods to engage stakeholders in planning for improvements to Route 1 in Norwood. An advisory task force composed of representatives from MassDOT, the Town of Norwood, MAPC, NRRC, and Neponset Valley TMA was established to guide this study. MPO staff met with the task force to kick-off the study. In a second meeting, MPO staff presented the existing conditions, corridor needs, ideas for improvements, and obtained feedback. In addition, MPO staff launched a community survey to help determine the public’s opinion about concerns and problems on Route 1 in Norwood and to learn their ideas for resolving them. This report reflects the task force’s feedback and the results of the community survey. Appendix A includes a list of task force members and comments.
Chapter 3—Roadway Characteristics
Route 1 in Norwood is a state highway. It is classified as an urban principal arterial and is part of the National Highway System (NHS). The four-mile-long corridor assumes the local road name of Boston Providence Highway in Norwood. This section of Route 1 is a four-lane, two-way, divided roadway that widens at the signalized intersections to accommodate turn lanes. Route 1 has no access control and is open to all traffic, including trucks. The roadway’s right-of-way width varies between 85 feet and 105 feet; the wider sections are at the signalized intersections.
This roadway serves regional and local traffic, carrying between 30,000 and 50,000 vehicles per day. The posted speed limit is 45 miles per hour (mph) in both directions south of the Nahatan Street/Neponset Street rotary and 50 mph in both directions north of the rotary. Segments of the roadway have different characteristics and contexts that define needs along the corridor as Route 1 provides access to locations with various land uses, including residential, recreational, educational, industrial and office parks, commercial, and open spaces. The corridor includes several MPO-defined transportation equity zones where residents include low-income and minority populations, carless households, and people with limited English proficiency.
Several streets cross Route 1, including major and minor arterials and collector roadways that connect to downtown Norwood, commercial areas, industrial and office parks, educational centers, and neighborhoods in Norwood (Figure 2). The following describes the major crossing streets beginning from the south.
The intersection of Route 1 and Union Street is the southernmost intersection in the study area. It is located near the Walpole and Norwood town line. Union Street is a two-lane, two-way street with one lane in each direction, and the street widens at its approach to Route 1 to accommodate turn lanes and space for large trucks to turn at the intersection. Union Street is a town-owned street with a posted speed limit of 35 mph on the west approach and 30 mph on the east approach. Classified as an urban collector street, it is open to all traffic and provides access to the adjacent industrial, commercial, and residential areas. It carries about 6,300 vehicles per day. A five-foot sidewalk is on the south side of the east leg of Union Street, but there is no sidewalk on the west leg. There are streetlights on Union Street near the Route 1 intersection.
Figure 2
Major Crossing Streets and Intersections

Sumner Street is located 0.4 miles north of Union Street. It is a two-lane, two-way street with one lane in each direction, and the street widens at its approach to
Route 1 to accommodate turn lanes. Sumner Street is a town-owned street with a posted speed limit of 30 mph in both directions. Classified as an urban collector, it is open to all traffic and carries about 6,400 vehicles per day (both directions). Sumner Street connects to Union Street and Pleasant Street to provide access to the adjacent commercial, industrial, and residential areas and office parks. There are sidewalks on both sides of Sumner Street. Streetlights are present on the segment near Route 1.
Morse Street is about 0.5 miles north of Sumner Street. It is a two-lane, two-way street with one lane in each direction, and the street widens at its approach to Route 1 to accommodate a northbound left-turn lane. Morse Street is a town-owned street, open to all traffic. It is classified as an urban collector on the segment west of Route 1, while the segment east of Route 1 is classified as a local road and private. It carries about 6,500 vehicles per day and has a posted speed limit of 30 mph. Morse Street connects to Pleasant Street and Carnegie Row and provides access to the adjacent commercial and industrial areas and office parks. There is no sidewalk on the segment west of Route 1, however the segment east of Route 1 has sidewalks on both sides. Streetlights are present on Morse Street in the vicinity of Route 1.
Dean Street is about 0.6 miles east of Morse Street. It is generally a two-lane, two-way street with one lane in each direction; however, about 500 feet before the Route 1 intersection it widens into two lanes in each direction. Dean Street is a town-owned street, open to all traffic, with a posted speed limit of 30 mph in each direction. Classified as an urban minor arterial road, it carries about 12,300 vehicles per day (both directions). Dean Street connects to Pleasant Street and Neponset Street and provides access to commercial and residential areas east and west of Route 1. There are sidewalks on both sides of Dean Street. Streetlights are installed near the Route 1 intersection.
Nahatan Street and Neponset Street are located 0.7 miles north of Dean Street. They are two-lane, two-way streets with one lane in each direction. Both are town-owned streets with a posted speed limit of 30 mph in each direction and open to all traffic. The two streets meet at the rotary over Route 1 and connect to Route 1 via ramps. Neponset Street is classified as an urban principal arterial and Nahatan Street as an urban minor arterial. These streets serve commercial and residential areas and carry about 19,800 vehicles per day in both directions. There are sidewalks on both sides of the streets. Streetlights have been installed on both streets in the vicinity of Route 1.
Access Road is about 0.3 miles north of the Neponset Street rotary. It is a two-lane, two-way street with one lane in each direction. This town-owned street has a posted speed limit of 30 mph and is open to all traffic. Classified as an urban collector, Access Road carries about 1,400 vehicles per day. Access Road connects to Route 1 and Neponset Street and serves the Norwood Regional Airport and nearby residential areas. There are no sidewalks or streetlights on Access Road.
Pleasant Street runs parallel to Route 1 about 0.4 miles to the west and connects to Route 1 about 0.4 miles north of Access Road. It is a two-lane, two-way street with one lane in each direction. This town-owned street has a posted speed limit of 30 mph and is open to all traffic. It carries about 4,300 vehicles per day in both directions on the section near Route 1. Pleasant Street is classified as an urban collector and provides access to commercial and residential areas along its path. There are sidewalks and streetlights on Pleasant Street, mostly on the segments in the residential areas.
Everett Street is about 0.9 miles north of Access Road on the west side of Route 1. It is a four-lane, two-way street with two lanes in each direction. This town-owned street has a posted speed limit of 30 mph and is open to all traffic. Everett Street is classified as an urban minor arterial, carrying about 19,600 vehicles per day in both directions. It connects to Route 1, Route 1A, and Washington Street, and serves adjacent residential and commercial areas and an office park. There are sidewalks on either side and streetlights are present on Everett Street.
Everett Street becomes University Avenue east of Route 1. University Avenue is a three-lane, two-way street with two lanes eastbound and one lane westbound. University Avenue is a private-owned urban minor arterial street, open to all traffic with a posted 30 mph speed limit. It provides access to adjacent industrial and commercial areas and carries about 14,700 vehicle per day. There are sidewalks on both sides of the street on the segment between Route 1 and Everett Street. Streetlights have also been installed in that segment.
Figure 2 shows the eight intersections assessed to address safety and operations problems. The following section describes the existing roadway geometry, traffic controls, and land uses surrounding the intersections. All the intersections on Route 1 in the study area are under the jurisdiction of MassDOT.
Union Street intersects Route 1 to form a four-leg, signalized intersection. Each approach on Route 1 has four travel lanes, a left-turn lane, two through lanes, and a right-turn lane. Each of the Union Street approaches has a wide single lane serving all traffic movements. The intersection is equipped with a fully actuated and isolated traffic signal and the signal heads are mounted on a mix of span wires and posts, but they lack backplates and retroreflective yellow borders.
Six-foot sidewalks are present on both sides of Route 1 and on the south side of Union Street. Crosswalks are provided across Route 1 on the south leg and across both legs on Union Street; however, the curb cut ramps for the crosswalks do not meet ADA standards as they lack detectable warning plates. Pedestrian signals with pushbuttons have been installed for pedestrian crossings on Route 1, however, there are no pedestrian signals for crossing Union Street. In addition, the pedestrian signals lack countdown timers, there are no dedicated bicycle accommodations in the vicinity, and there are no streetlights at the intersection, which may have contributed to some of the crashes at this location. The land use in the vicinity is primarily commercial.
Sumner Street intersects Route 1 to form a four-leg, signalized intersection. Each approach on Route 1 has four travel lanes, a left/U-turn lane, two through lanes, and a right-turn lane. The eastbound approach on Sumner Street has three lanes serving traffic, a left-turn lane, a through lane, and a right-turn lane, while the westbound approach has two lanes, a right-turn lane, and a shared through/left-turn lane. The intersection is equipped with a fully actuated and isolated traffic signal. The signal heads are mounted on a mix of span wires and posts, and they have backplates and retroreflective yellow borders.
Six-foot sidewalks are present on both sides of Route 1 south of the intersection, on the west side of Route 1 north of the intersection, and on both sides of Sumner Street near the intersection. Crosswalks are present across Route 1 on the south leg and across both legs on Union Street; however, the curb cut ramps for the crosswalks do not meet ADA standards as they lack detectable warning plates. Pedestrian signals with pushbuttons are provided for crossing Route 1 and Union Street but they lack countdown timers. There are no bicycle accommodations in the vicinity. Streetlights are installed at the intersection. The land use in the vicinity is primarily commercial.
Morse Street intersects Route 1 to form a four-leg, signalized intersection. Each approach on Route 1 has four travel lanes, a left/U-turn lane, two through lanes, and a right-turn lane. Each approach on Morse Street and Park Place has two lanes serving traffic, a left-turn lane, and a shared through/right-turn lane. Six-foot sidewalks are present on the west side of Route 1 and on both sides of Park Place. The intersection is equipped with a fully actuated and isolated traffic signal and the signal heads are mounted on a mix of span wires and posts, but they lack backplates and retroreflective yellow borders.
Crosswalks are present across Route 1 on the north leg and across Morse Street, however, the curb-cut ramps for the crosswalks do not meet ADA standards as they lack detectable warning plates, and some of the curb/wheelchair ramps have obstacles in them. Pedestrian signals with pushbuttons are provided for crossing Route 1, but they lack countdown timers. Pedestrian signals are missing on Morse Street. There are no dedicated bicycle accommodations in the vicinity. There are streetlights installed at the intersection and the land use in the vicinity is mixed with automobile-related businesses, other commercial uses, and medical sciences and technology companies.
Dean Street intersects with the Route 1 and its ramps to form three closely space signalized intersections. Each approach on Route 1 has three travel lanes, two through lanes, and a shared through/right-turn lane. Dean Street widens to two lanes on the eastbound approach to the Route 1 southbound on-ramp and further widens to four lanes at its approach to Route 1 (two left-turn lanes, a through lane, and a right-turn lane). In the westbound direction, Dean Street widens to two lanes on the westbound approach to the Route 1 northbound on-ramp and further widens to three lanes at its approach to Route 1 (a left-turn lane, through lane, and shared through/right-turn lane). The Route 1 northbound off-ramp has two lanes at the approach with Dean Street (a left-turn lane and a shared left- and right-turn lane), while the southbound off-ramp has three lanes (a left-turn lane, shared through/left-turn lane, and a right-turn lane).
The intersection is equipped with a fully actuated and clustered traffic signals and the signal heads are mounted on a mix of span wires, mast-arms, and posts, but they lack backplates and retroreflective yellow borders. Four-to-five-foot sidewalks are present on both sides of Dean Street and a five-foot sidewalk is present on the west side of Route 1 south of the intersection. In addition, crosswalks are present across Route 1 on the south leg and across Dean Street on the east leg. In addition, there are crosswalks with ADA-compliant wheelchair ramps at the Route 1–Dean Street arterial-ramp junctions. Pedestrian signals with pushbuttons have been provided for crossing the intersections, but they lack countdown timers. There are no dedicated bicycle accommodations in the vicinity. Streetlights are installed at the intersections. The land use in the vicinity is mixed with automobile-related businesses and other commercial uses.
The eastbound and westbound sides of Nahatan Street and Neponset Street are divided for approximately 0.2 miles where they pass over Route 1 via two separate overpasses and form a large single-lane rotary interchange with the Route 1 on- and off-ramps (Figure 2). The inscribed circle diameter (outer circle) of the rotary is about 550 feet wide. Each of the entry approaches is a single-entry lane with a posted speed limit of 30 mph. There is a sidewalk along the north side of Nahatan Street and Neponset Street and crosswalks with rectangular-rapid-flashing beacons, and ADA-compliant wheelchair ramps have been provided for pedestrians crossing the rotary. There are no dedicated bicycle accommodations on Neponset and Nahatan streets near the rotary and there are no streetlights. The land use in the vicinity is mixed with automobile-related businesses.
Access Road intersects Route 1 northbound at an oblique angle to form a three-leg, unsignalized intersection (Figure 2). Only right-turns in and out of Access Road can be made at the intersection because of the Route 1 median and the channelized island on Access Road. Neponset Street, on the other hand, intersects Route 1 southbound at an oblique angle to form a three-leg unsignalized intersection. Like the Access Road intersection, only right-turns in and out of Neponset Street can be made at the intersection. The section of Route 1 in this vicinity has two lanes in each direction and its traffic is uncontrolled, while traffic on Access Road and Neponset Street are under stop control. There is no sidewalk or dedicated bicycle accommodation on Neponset Street or Access Road. Streetlights are installed at Neponset Street, but none are present on Access Road. The land use in the vicinity is mixed with automobile-related businesses.
Pleasant Street intersects Route 1 southbound at an oblique angle to form a three-leg, unsignalized intersection. Only right-turns in and out of Pleasant Street can be made at the intersection because of the median on Route 1 and the traffic island on Pleasant Street that forces motorists to only make right turns. Traffic on Route 1 is uncontrolled, but those on Pleasant Street are controlled by a stop sign. There are no sidewalks or dedicated bicycle accommodations at this intersection. Streetlights are installed at the intersections. The land use in the vicinity is mixed with automobile-related businesses and restaurants.
Everett Street and University Avenue intersect Route 1 to form a four-leg, signalized intersection. Each approach on Route 1 has four travel lanes, a left-turn lane, two through lanes, and a right-turn lane. The approach on Everett Street has two lanes serving all movements, a shared left-turn/through lane and a shared through/right-turn lane. University Avenue has three lanes on its approach, a shared left-turn/through lane, through lane, and right-turn lane. The intersection is equipped with a fully actuated and isolated traffic signal, the signal heads are mounted on a mix of mast-arms and posts, and the backplates have retroreflective yellow borders.
Six-foot sidewalks are present on both sides of Everett Street and University Avenue, however there is no sidewalk on Route 1 in the vicinity. Crosswalks are present across all legs of the intersection with ADA-compliant curb-cut ramps and pedestrian signals with pushbuttons and countdown timers. There are no dedicated bicycle accommodations in the vicinity. There are streetlights at the intersection. The land use in the vicinity is primarily automobile-related businesses, other commercial uses, and office parks.
MPO staff gathered data on vehicular traffic volumes and the number of people who walk and bike in the study area, crashes, signal-timing information, and roadway and intersection geometry data for existing conditions analyses. Staff also collected information about the public’s perception of the existing transportation problems and needs along Route 1 and ideas to address them. Planned and programmed projects in the corridor were also inventoried.
MassDOT Highway Division’s Traffic Data Collection section compiled traffic data for the study. Automatic traffic recorder (ATR) counts were collected during a five-day period from Monday, March 28, 2022, to Friday, April 1, 2022. The ATR counts included daily traffic volumes, speeds, and traffic mix (light and heavy vehicles). MassDOT also collected turning-movement counts (TMC) in the study area on Thursday, March 31, 2022, and Saturday, April 2, 2022. The TMC counts were performed during the weekday AM peak travel period (6:00 AM to 9:00 AM), weekday PM peak travel period (3:00 PM to 6:00 PM), and weekend PM peak travel period (11:00 AM to 2:00 PM). In all cases, heavy vehicles and people walking and biking were recorded separately. Analysis of the traffic data is presented in Chapter 5, and the traffic data is included in Appendix C.
MassDOT provided MPO staff with existing signal timings, as-built traffic signal plans, and signal-phase sequences of the signalized intersections. Staff conducted field visits to verify modifications to the intersection layouts and signal-timing plans. The signal information, layouts, and traffic data were used to assess the levels of service of the study intersections presented in Chapter 5. Appendix C includes the signal information.
MPO staff obtained crash data from MassDOT’s Registry of Motor Vehicles database for the period of January 2015 through December 2019 to evaluate safety for motorists, pedestrians, and bicyclists in the study area. Analysis of the crash data is presented in Chapter 5, and the crash data and summary are included in Appendix E.
MPO staff developed a survey to help determine the public’s opinion about concerns and problems on Route 1 in Norwood and how to resolve them. The online survey, posted on the Town of Norwood’s, Neponset River Regional Chamber’s, and Neponset Valley TMA’s websites received 684 responses in July and August 2022.
MassDOT’s projects in the Route 1 corridor that address the study area’s problems are presented in Table 1 along with their descriptions and status.
Table 1
Route 1 Projects in Norwood
MassDOT Project |
Town |
Description |
Status |
608599: Stormwater improvements |
Canton and Norwood |
Stormwater improvements to treat discharges from Route 1, Interstate 95, and Route 1A to the Neponset River and an unnamed tributary |
Construction |
605857: Intersection improvements at Route 1 and University Avenue/Everett Street |
Norwood |
Traffic signal upgrades, geometric improvements, upgrades of pedestrian crossings and bicycle amenities, median structures, and lighting |
Design—Programmed TIP Year FFY 2025 |
605321: Bridge preservation, Route 1 over the Neponset River |
Norwood |
Reconstruction of the bridge and approach wearing surface |
Design |
608052: Intersection improvements at Route 1 and Morse Street |
Norwood |
Improvements to the intersection and signals |
Design |
FFY = Federal Fiscal Year. TIP = Transportation Improvement Program.
Source: Massachusetts Department of Transportation.
The Route 1 corridor supports several land uses with the potential for generating and attracting walking, biking, driving, and transit trips. However, the current design of Route 1 makes it an automobile-centric corridor. The primary access to all the areas along the corridor is by automobile. Biking and walking accommodations are limited in the corridor, and limited opportunities to safely cross Route 1 create a barrier for greater east-west connectivity.
The transit services in the corridor (bus and commuter rail services) have several stops and stations that are within a mile from Route 1. However, there is no service connecting them to the businesses and neighborhoods along Route 1. The Neponset Valley Route 1/1A Corridor Mobility Study has recommended near-term microtransit pilots centered along Route 1 and connecting to the commuter rail stations and Route 34E bus stops to provide key first- and last-mile connections to employments areas. 6 The study’s long-term recommendations include the redesign of Route 1 to accommodate walking, biking, and transit trips and support future fixed-route transit in the corridor. Figure 3 shows the locations for recommended microtransit areas along Route 1.
Figure 4 shows walking and biking volumes at the study intersections. The low volumes were attributed to a lack of safe walking and biking accommodations and high vehicle speeds and volumes, which create a high stress environment and safety concerns for people walking and biking. Figure 4 also shows the locations where people can safely walk along and safely cross Route 1, such as at the signalized intersections. Spaces between the safe crossing sites are as far apart as 2.5 miles, creating a barrier between businesses and neighborhoods east and west of Route 1.
The quality of walking travel is largely affected by the roadway infrastructure, such as whether there are sidewalks and crosswalks present or pedestrian signals that allow people time to cross an intersection before vehicles get a green light. The quality of bicycling travel is largely affected by the character of the roadway and factors that contribute to the safety and security of people when bicycling, such as the speed of vehicles, travel time, comfort and convenience, and freedom to maneuver.
6 The Neponset Valley Route 1/1A Corridor Mobility Study was prepared by MAPC for the Neponset Valley TMA in December 2021.
Figure 3
Microtransit Recommendation Areas

Figure 4
Mobility in the Route 1 Corridor

To reflect the complex relationship between people walking or biking and the travel environment, MPO staff developed level-of-service tools that grade a given roadway on its quality of walking and biking travel, and whether it reflects these objectives: safety, system preservation, capacity management and mobility, and economic vitality. 7 Based on this evaluation, the quality of walking and biking on Route 1 in Norwood was rated poor in terms of safety, system preservation, capacity management and mobility, and economic vitality. Overall, the assessment indicates that the Route 1 needs improvements to safely accommodate people walking. The ratings from this assessment tool are in Appendix B.
People walking and biking in the corridor are presented with several challenges. Following the analysis of crash data, field reconnaissance, and review of signal data and recommendations from road safety audits, these challenges were identified, some of which are shown in Figures 5 and 6 and summarized below.
7 Ryan Hicks and Casey-Marie Claude, Pedestrian Level-of-Service Memorandum, Technical Memorandum to the Boston Region Metropolitan Planning Organization, January 19, 2017; Casey-Marie Claude, Development of a Scoring System for Bicycle Travel in the Boston Region, Technical Memorandum to the Boston Region Metropolitan Planning Organization, November 8, 2018.
Figure 5
Walking Challenges

Figure 6
Biking Challenges

Figure 4 shows the transit services in the study area including bus, commuter rail, and microtransit service. There is no transit service on Route 1.
The MBTA bus Route 34E (Walpole Center–Forest Hills Station) serves Walpole, Norwood, Westwood, and Dedham (Figure 4). Route 34E connects to the MBTA Orange Line at Forest Hills Station, and the Franklin and Needham commuter rail lines. During weekdays, 45 daily inbound buses starting at Walpole Center provide service to Forest Hills Station and 44 daily outbound buses starting from Forest Hills Station provide service to Walpole Center. Route 34E operates approximately every 20 minutes and more frequently during the AM peak period. During midday on weekdays, the service operates every half hour in each direction. On weekends, 32 inbound buses and 31 outbound buses provide this service. The weekend service operates every 30 to 40 minutes in each direction. The fares for the bus service are $1.70 for a bus-only ride and $2.40 for bus and subway transfers. Many of the bus stops in these communities are about a mile from the Route 1.
The MBTA Franklin commuter rail line serves Norfolk, Walpole, Norwood, and Dedham (Figure 4). During weekdays, there are 19 inbound trains starting from Forge Park/495 or Walpole Station and 19 outbound trains starting from Boston’s South Station. Inbound and outbound trains run every 30 minutes on weekdays during the peak travel periods and every hour during the off-peak periods. Weekend service comprises nine inbound and nine outbound trains operating between Forge Park/495 Station and South Station. Both the inbound and outbound service operate every two hours during weekends. Like the bus stops on Route 34E, many of the commuter rail stations in these communities are about a mile from Route 1.
The MBTA Providence/Stoughton commuter rail line serves Canton, Westwood, and Sharon. Its Route 128/University Avenue, Canton Junction, and Sharon Stations are within two miles of the Route 1 corridor. On weekdays, there are 33 inbound and 33 outbound trains. Inbound and outbound trips run every 30 minutes on weekdays during the peak travel periods and every hour during the off-peak periods. During weekends, nine inbound and nine outbound trains operate between Providence and South Station. Both the inbound and outbound service operates every two hours during weekends.
The Greater Attleboro Taunton Regional Transit Authority (GATRA) runs microtransit services within the towns of Foxborough, Franklin, Norfolk, and Wrentham, south of the study area (Figure 3). GATRA GO Connect is an on-demand, same day, affordable, and accessible public transit service serving the communities of Foxborough, Mansfield, and Norton. Riders can be picked up and dropped off anywhere within these three towns. Service is also available to specific destinations, which include the Plainville Commons Marketplace and Highlands Plaza in Easton. The service is available Monday through Friday 6:30 AM–8:00 PM, and Saturday and Sunday 12:00 PM–8:00 PM. GATRA GO United is another on-demand, same day, affordable, and accessible public transit service serving the communities of Foxborough, Franklin, Norfolk, Wrentham. The service is available Monday through Friday 7:00 AM–6:00 PM, and Saturday 9:00 AM–8:00 PM.
People wishing to take transit to the employment centers along Route 1 are presented with several challenges:
Although Route 1 is an automobile-centric corridor serving both local and regional travel, including work and non-work-related travel trips, driving in this corridor is challenging as evidenced by the five high-crash locations in the corridor.
As noted previously, MassDOT Highway Division collected traffic data for analysis in this study. The counts taken in March 2022 were nine percent lower than the counts taken prior to the COVID 19 pandemic. The counts were adjusted accordingly for use in this analysis. Figures 7 and 8 show the average weekday traffic volumes and the turning-movement volumes at nine intersections during weekday AM and PM peak hours and the Saturday PM peak hour. Figure 9 shows the measured speeds and posted speed regulations for the corridor. The average speeds are consistent with the posted speed regulations but the 85th percentile speeds are higher than the posted speed regulations. The traffic count and speed data are included in Appendix C.
Figure 7
Average Weekday Traffic Volumes (March 2022)

Figure 8
Peak-Hour Turning-Movement Volumes

Figure 9
Measured and Posted Speed Regulation

MPO staff conducted traffic-operations analyses consistent with the Highway Capacity Manual’s methodologies. 8 , These methodologies are used to assess traffic conditions at signalized and unsignalized intersections and to rate the level of service (LOS) from A to F. LOS A represents the best operating conditions (little to no delay), while LOS F represents the worst operating conditions (long delay). LOS E represents operating conditions at capacity (the limit of acceptable delay). Table 2 presents the control delays (standards for comparison) associated with each LOS for signalized and unsignalized intersections.
Table 2
Intersection Level of Service Criteria
| Level of Service |
Signalized Intersection Control Delay |
Unsignalized Intersection Control Delay |
|---|---|---|
A |
<10 |
<10 |
B |
10–20 |
10–15 |
C |
20–35 |
15–25 |
D |
35–55 |
25–35 |
E |
55–80 |
35–50 |
F |
>80 |
>50 |
Source: Highway Capacity Manual 2010.
Figures 10 through 12 show the analysis results for the weekday AM, weekday PM, and Saturday PM peak periods, respectively. Based on the traffic operations analyses, the following signalized intersections were found to operate under congested conditions and have long queues during peak travel hours:
Figure 10
Existing Conditions: Weekday AM Peak-Hour LOS and Delays

Figure 11
Existing Conditions: Weekday PM Peak-Hour LOS and Delays

Figure 12
Existing Conditions: Weekend Saturday PM Peak-Hour LOS and Delays

Crash data for Route 1 in Norwood was obtained from MassDOT’s Registry of Motor Vehicles. The crash data from January 2015 through December 2019 was used to assess safety in the corridor. Analysis results are presented in Figure 13 and summarized in Table 3 for the major intersections, in Table 4 for the segments between the major intersections, and in Table 5 for all crashes. MPO staff prepared collision diagrams for the Highway Safety Improvement Program (HSIP) crash clusters to examine patterns and factors contributing to the crashes. The crash data and collision diagrams are included in Appendix E.
Table 3
Summary of Intersection Crash Statistics: 2015–19
Crash Variable |
Everett Street |
Neponset Rotary |
Dean Street |
Morse Street |
Sumner Street |
Union Street |
Total number of crashes |
108 |
124 |
95 |
44 |
44 |
46 |
Severity: Property damage only |
76 |
94 |
73 |
26 |
32 |
31 |
Severity: Possible injury |
22 |
23 |
12 |
16 |
8 |
10 |
Severity: Non-incapacitating |
8 |
6 |
6 |
2 |
4 |
5 |
Severity: Incapacitating |
0 |
0 |
2 |
0 |
0 |
0 |
Severity: Fatality |
0 |
0 |
0 |
0 |
0 |
0 |
Severity: Not reported/unknown |
2 |
1 |
2 |
0 |
0 |
0 |
Collision type: Single vehicle |
3 |
8 |
10 |
2 |
4 |
3 |
Collision type: Rear-end |
52 |
101 |
30 |
28 |
31 |
20 |
Collision type: Angle |
35 |
7 |
37 |
9 |
8 |
16 |
Collision type: Head-on |
3 |
1 |
1 |
0 |
0 |
1 |
Collision type: Sideswipe, same direction |
12 |
6 |
14 |
5 |
1 |
5 |
Collision type: Sideswipe, opposite direction |
2 |
1 |
3 |
0 |
0 |
1 |
Collision type: Not reported/unknown |
1 |
0 |
0 |
0 |
0 |
0 |
Daylight |
76 |
100 |
66 |
36 |
33 |
36 |
Dark - lighted roadway |
27 |
15 |
23 |
7 |
9 |
7 |
Dark - unlit roadway |
0 |
8 |
2 |
0 |
0 |
0 |
Dark - unknown |
0 |
0 |
0 |
0 |
0 |
0 |
Dawn |
3 |
1 |
2 |
1 |
0 |
1 |
Dusk |
1 |
0 |
2 |
0 |
1 |
2 |
Unknown/other |
1 |
0 |
0 |
0 |
0 |
0 |
Involved pedestrian(s) |
1 |
1 |
0 |
0 |
1 |
0 |
Involved bicyclist(s) |
0 |
0 |
1 |
0 |
0 |
0 |
Weekday peak periods* |
37 |
56 |
36 |
20 |
15 |
18 |
Wet or icy pavement conditions |
28 |
20 |
16 |
10 |
11 |
10 |
Dark conditions (lit or unlit) |
31 |
24 |
29 |
7 |
10 |
10 |
*Peak periods are 6:00 AM to 9:00 AM and 3:00 PM to 6:00 PM, Monday through Friday.
Source: Central Transportation Planning Staff.
Figure 13
Location and Distribution of Crashes 2015–19

Table 4
Summary of Segment Crash Statistics: 2015–19
Crash Variable |
Everett Street to Neponset Street Rotary |
Neponset Street Rotary to Dean Street |
Dean Street to Morse Street |
Morse Street to Sumner Street |
Sumner Street to Union Street |
Total number of crashes |
73 |
27 |
16 |
21 |
15 |
Severity: Property damage only |
47 |
19 |
10 |
13 |
13 |
Severity: Possible injury |
18 |
7 |
4 |
5 |
0 |
Severity: Non-incapacitating |
5 |
0 |
1 |
2 |
2 |
Severity: Incapacitating |
2 |
1 |
1 |
0 |
0 |
Severity: Fatality |
0 |
0 |
0 |
0 |
0 |
Severity: Not reported/unknown |
1 |
0 |
0 |
1 |
0 |
Collision type: Single vehicle |
16 |
3 |
1 |
4 |
0 |
Collision type: Rear-end |
32 |
11 |
14 |
13 |
13 |
Collision type: Angle |
14 |
6 |
1 |
2 |
0 |
Collision type: Head-on |
2 |
1 |
0 |
0 |
0 |
Collision type: Sideswipe, same direction |
5 |
5 |
0 |
2 |
2 |
Collision type: Sideswipe, opposite direction |
4 |
1 |
0 |
0 |
0 |
Collision type: Not reported/unknown |
0 |
0 |
0 |
0 |
0 |
Daylight |
50 |
21 |
12 |
14 |
9 |
Dark—lighted roadway |
17 |
5 |
4 |
5 |
3 |
Dark—unlit roadway |
4 |
0 |
0 |
2 |
0 |
Dark—unknown |
0 |
0 |
0 |
0 |
0 |
Dawn |
0 |
0 |
0 |
0 |
1 |
Dusk |
2 |
1 |
0 |
0 |
2 |
Unknown/other |
0 |
0 |
0 |
0 |
0 |
Involved pedestrian(s) |
0 |
0 |
0 |
0 |
0 |
Involved bicyclist(s) |
1 |
0 |
0 |
0 |
0 |
Occurred during weekday peak periods* |
24 |
9 |
8 |
11 |
7 |
Wet or icy pavement conditions |
11 |
7 |
3 |
3 |
4 |
Dark conditions (lit or unlit) |
23 |
6 |
4 |
7 |
6 |
* Peak periods are 6:00 AM to 9:00 AM and 3:00 PM to 6:00 PM, Monday through Friday.
Source: Central Transportation Planning Staff.
Table 5
Summary of Crashes Statistics: 2015–19
Crash Variable |
All crashes |
Percentage |
Total number of crashes |
613 |
100 |
Severity: Property damage only |
425 |
70 |
Severity: Possible injury |
129 |
21 |
Severity: Non-incapacitating |
41 |
7 |
Severity: Incapacitating |
6 |
1 |
Severity: Fatality |
0 |
0 |
Severity: Not reported/unknown |
7 |
1 |
Collision type: Single vehicle |
58 |
10 |
Collision type: Rear-end |
336 |
55 |
Collision type: Angle |
141 |
23 |
Collision type: Head-on |
9 |
1 |
Collision type: Sideswipe, same direction |
50 |
9 |
Collision type: Sideswipe, opposite direction |
13 |
2 |
Collision type: Not reported/unknown |
1 |
0 |
Daylight |
454 |
75 |
Dark—lighted roadway |
119 |
20 |
Dark—unlit roadway |
16 |
3 |
Dark—unknown |
0 |
0 |
Dawn |
8 |
1 |
Dusk |
10 |
1 |
Unknown/other |
1 |
0 |
Involved pedestrian(s) |
3 |
0 |
Involved bicyclist(s) |
2 |
0 |
Weekday peak periods* |
251 |
41 |
Wet or icy pavement conditions |
125 |
21 |
Dark conditions (lit or unlit) |
153 |
25 |
*Peak periods are 6:00 AM to 9:00 AM and 3:00 PM to 6:00 PM, Monday through Friday.
Source: Central Transportation Planning Staff.
The following information were obtained from analysis of the crash data:
8 Transportation Research Board of the National Academies,Highway Capacity Manual, Sixth Edition: A Guide for Multimodal Mobility Analysis, Washington, DC, September 2020; CUBIC, Trafficware Inc., Synchro plus SimTraffic, Version 11.1 Build 1 version 6 (11.1.1.6), Sugar Land, Texas.
Chapter 6—Community Engagement
Stakeholder participation was a crucial part of this study, and the users of the corridor are among the most important stakeholders. Several methods were used to engage the community in planning for improvements to the corridor. They included an online survey, advisory task force meetings, and messaging on social media platforms. MassDOT, the Town of Norwood, MAPC, Three Rivers Interlocal Council (TRIC), Neponset Valley TMA, and NRRC participated in the community engagement for this study.
MPO staff developed a survey to help determine the public’s opinion about
concerns and problems on Route 1 in Norwood and to learn their ideas for resolving them. The online survey, posted on the websites of the Town of Norwood, Neponset Valley TMA, NRRC, and TRIC, received 684 responses between July 15, 2022, and August 5, 2022. The survey questionnaire is included in Appendix F.
Figures 14 through 19 present the results of the community survey, highlights of which are listed below:
Figure 14
Vision for Corridor

Figure 15
Safety Experience by Mode of Transportation

Figure 16
Level of Difficulty Navigating the Corridor: Driving Versus Walking or Biking

Figure 17
Challenges Walking or Biking on Route 1

Figure 18
Challenges Driving on Route 1

Figure 19
Major Ways to Improve Route 1

Based on the data collected, information from the community engagement efforts, guidance from the advisory task force, and analysis of the existing conditions, the following weaknesses, strengths, and needs of the corridor were identified.
Figure 20 through 24 show some of the deficiencies identified at the major intersections.
Figure 20
Route 1 at Pendergast Circle: Problems

Figure 21
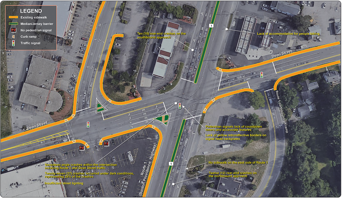
Route 1 at Dean Street: Problems

Figure 22
Route 1 at Morse Street/Park Place: Problems

Figure 23
Route 1 at Sumner Street: Problems

Figure 24
Route 1 at Union Street: Problems

Chapter 8—Improvements
The time frame categorized as short-term is typically less than five years. The costs of short-term improvements are usually low and can be funded through maintenance budgets. Some of the short-term improvements could be included in MassDOT’s projects that are currently under construction or in design, or through maintenance activities. These improvements include installing new signs, upgrading old signs, pavement stripping, painting high-visibility crosswalks, adding detectable-warning plates to curb ramps, bike detection at signalized intersections, upgrading signal-head sections, and adding yellow retroreflective backplates to signal heads. Additional improvements include adding countdown timers, retiming and coordinating signals, and upgrading substandard sidewalks.
The time frame categorized as long-term is typically more than five years. Long-term improvements require design and engineering efforts and larger funding sources. The long-term improvements address safety and multimodal transportation needs, such as increased safety for people who walk, bicycle, or ride the bus, and support livable communities and economic vitality. They include safety improvements, such major signal equipment and timing upgrades, the addition of separated bike facilities, construction of new sidewalks, upgrades to sidewalks and curb ramps, and intersection improvements. These long-term improvements would support key first- and last-mile connections to the commuter rail stations, Route 34E bus stops, and the employment centers along Route 1 that are currently lacking in the corridor. In addition, the long-term improvements would provide the necessary infrastructure to support future fixed-route transit in the corridor.
The following recommended improvements apply to the whole corridor:
Improving walking and biking accommodations would enhance greater east-west access and support the near-term microtransit pilot projects centered along Route 1 and connecting to the commuter rail stations and Route 34E bus stops to provide key first- and last-mile connections to employments areas.
These walking infrastructure improvements are included in the long-term improvements because of the substantial gap in the sidewalk network on Route 1 (Figure 25):
The walking and biking infrastructure improvements on Route 1 would be more beneficial if they also connect to the proposed Complete Streets improvements on local roads, especially on side streets connecting to Route 1. Figure 25 also shows the streets on the Norwood Complete Streets Program in the Route 1 corridor.
Separated bike lanes provide users with a higher comfort level compared to traditional on-road bike lanes. Studies show that by providing separation from vehicular traffic, these types of facilities attract a wider range and number of people on bikes due to improved safety for all road users. MassDOT’s Separated Bike Lane Planning and Design Guide was referenced for the evaluation and consideration of safe and comfortable bike accommodation in the corridor. Figure 26 show separated bike lane designs from the guide.
Considering the low walking and biking volumes and the high stress environment due to high volume and speeds of vehicles on Route 1, MPO staff evaluated two options for multimodal accommodations: separated bike lanes flush with sidewalks and the street. The objectives are to provide infrastructure that would make people walking and biking more comfortable and encourage more people to use these modes of transportation.
Figure 25
Walking and Biking Infrastructure Improvements

Figure 26
Separated Bike Lane Designs

A separated bike lane flush with the sidewalk may have a minimum two-foot sidewalk buffer to discourage pedestrian and bicyclist encroachment. Figure 27 shows the cross-sectional modifications required to include separated bike lanes on Route 1. Figure 28 provides examples of separated bike lanes. The advantages of a sidewalk-level separated bike lane include the following:
A separated bike lane flush with the street must have a buffer (three-foot minimum) to discourage vehicles from encroaching and provide a safer and more comfortable environment for people on bikes. Street-level bike lanes may be installed for several reasons:
Additional improvements for people who bike include bike detection and signals at the signalized intersections, and well-designed protected intersections to increase safety, comfort, and clear right-of-way assignment for people biking.
MPO staff evaluated what the future LOS for people walking and biking would be if the walking and biking infrastructure improvements from this study were implemented. Based on the assessment, Route 1 was rated good in terms of meeting the MPO’s goals for economic vitality, capacity management and mobility, and system preservation, and fair for safety because of the prioritization of safe accommodations for people who walk. Route 1 was rated excellent in terms of meeting the MPO’s goals for capacity management and mobility and system preservation, and acceptable for safety and economic vitality because of the prioritization of safe accommodations for people who bike. Appendix B contains results of the LOS scorecard analyses.
Figure 27
Roadway Accommodation Improvement Alternatives

Figure 28
Examples of Bike Accommodations
The intersection-related improvements and concepts are described in Figures 29 through 35. All improvements fall within the roadway’s right-of-way width and considers the needs of abutters and users. The intersection of Route 1 and Everett Street/University Avenue was excluded because it is programmed in the Boston Region MPO’s Federal Fiscal Years (FFYs) 2022–26 Transportation Improvement Program (TIP) for implementation in FFY 2025, and the project is currently in design.
MPO staff recommended three options for Pendergast Circle to address safety. All three options include accommodations for people who walk or bike:
The Boston Region MPO’s transportation planning model, which was adopted for travel demand modeling for the Long-Range Transportation Plan, was also used to forecast traffic for this study. The model’s socioeconomic components are derived from forecasts produced by MAPC. Using this model, staff projected that between now and 2040 traffic volumes on Route 1 in Norwood would grow by about 0.2 percent annually in the AM peak and PM peak periods. These growth rates also apply to traffic volumes on the intersecting streets, as they are usually developed for areas, not specific streets. Figures 36 through 38 show the LOS projected for 2040 based on the future volumes, new signal timings, new signal phase sequences and pedestrian phases, and other geometric improvements. The analysis indicated that the pedestrian safety improvements would not impact traffic flow (less than a five percent increase in delay). Appendix D presents the LOS analysis worksheets.
Figure 29
Route 1 at Pendergast Circle: Alternative 1—Keep the Rotary

Figure 30
Route 1 at Pendergast Circle: Alternative 2—Diamond Interchange Concept

Figure 31
Route 1 at Pendergast Circle: Alternative 3—Convert to a Roundabout

Figure 32
Route 1 at Dean Street: Improvements

Figure 33
Route 1 at Morse Street/Park Place: Improvements

Figure 34
Route 1 at Sumner Street: Improvements

Figure 35
Route 1 at Union Street: Improvements

Figure 36
2040 Conditions: Weekday AM Peak-Hour LOS and Delays

Figure 37
2040 Conditions: Weekday PM Peak-Hour LOS and Delays

Figure 38
2040 Conditions: Weekday Saturday PM Peak-Hour LOS and Delays

Each of the proposed improvements was chosen to target specific safety and operational deficiencies present in the study area. Due to limited financial resources available to implement highway safety improvements, it is important that safety improvements return the highest level of benefits. A primary benefit of safety improvements is to reduce injurious crashes and fatalities, so it is useful for road owners to understand how much a particular safety improvement, or set of safety improvements, can reduce crashes. A crash modification factor (CMF) is a multiplicative factor used to compute the expected number of crashes after implementing a given countermeasure at a specific site. These estimates have been developed by comparing crashes before implementation of a safety improvement to crashes after implementation.
Table 6
Safety Effectiveness of Proposed Improvements
Improvement |
Examples |
Crash Type |
Estimated Crash Reduction (percent) |
Corridor and intersection lighting upgrades |
New or upgraded streetlights |
Nighttime |
18–38 |
Safe crossing opportunities (intersection and midblock) |
Pedestrian signals, high-visibility crosswalks, and pedestrian hybrid beacon with advanced notifications |
Vehicle-pedestrian |
Up to 57 |
Pedestrian countdown timers |
Install countdown timers |
Vehicle-pedestrian |
Up to 55–70 |
Separated bike lane |
Sidewalk-level or street-level separated bike lane |
Vehicle-bicycle |
Up to 25 |
Retiming and coordinating traffic signals |
Intersection, arterial, and network signals |
Vehicle-vehicle |
Up to 10 |
Advance notification signs |
Wayfinding signs, advance intersection lane control signs, and advance street name signs |
Vehicle-vehicle |
Up to 11 |
Advance warning signs |
Curve warning, signal ahead, and lane drop signs |
All crashes |
30–40 |
Signal visibility |
Signal lens size upgrade, installation of new backplates, addition of retroreflective yellow borders to backplates, and installation of additional signal heads |
All crashes |
Up to 10 |
Pavement markings |
Lane-use markings, lane-use arrows, and turn-movement pavement markings |
All crashes |
10–20 |
Source: Central Transportation Planning Staff.
MPO staff collected and analyzed data, performed existing conditions analysis, defined corridor problems, assessed corridor needs, and proposed several improvements and concepts to address current and future needs. Figure 39 shows the proposed improvements including new sidewalks, sidewalk-level separated bike lanes, intersection and interchange improvements, and safe crossing opportunities.
The proposed improvements would greatly improve mobility in the Route 1 corridor by supporting key first- and last-mile transportation connecting employment centers along Route 1 to the MBTA Franklin Line commuter rail stations and Route 34E bus service.
The walking and biking infrastructure improvements on Route 1 would be more beneficial if they also connect to the proposed Complete Streets improvements on local roads, especially on side streets connecting to Route 1. In addition, the proposed signalized midblock crossings north of Pendergast Circle would improve mobility.
Route 1 abuts and runs through several transportation equity neighborhoods in Norwood and these improvements would increase safety and mobility for those neighborhoods. The improvements would also support future transit initiatives such as microtransit and fixed-route transit on Route 1.
Green stormwater infrastructure and landscaping improvements such as porous pavements, trees, swales, rain gardens, and bump-outs in the corridor would help to reduce pollution, stormwater runoff, and urban heat island effect.
In addition, the proposed improvements would increase safety for all users, provide greater east-west connectivity, give people more transportation choices that would allow them to support businesses, and promote smart growth and sustainable transportation.
Figure 39
Summary of Improvements

Chapter 9—Conclusion and Next Steps
The improvements developed in this study provide MassDOT, the Town of Norwood, Neponset Valley TMA, and Neponset River Regional Chamber, and other stakeholders an opportunity to review options for addressing deficiencies in the corridor before committing design and engineering funds to a roadway improvement project. If implemented, the improvements would increase travel choices in corridor, make it safer for people who walk, bicycle, drive, and ride the bus, and support microtransit service and economic vitality.
Project development is the process that takes transportation improvements from planning concept to construction. Successful implementation of the improvements would require cooperation among stakeholders. This study provides the necessary information for the project proponents to initiate the project notification and review process. After completing these initial steps, the proponents can start preliminary design and engineering and begin working with the MPO to program funding for the project in the TIP. Appendix G contains an overview of the project development process.